இன்றைய முக்கிய செய்திகள்.. சில வரிகளில்.. 09-11-2025

உள்ளூர் முதல் உலகம் வரை இன்று நடைபெறும் முக்கிய நிகழ்வுகளை உடனுக்கு உடன் இங்கே தெரிந்து கொள்ளலாம்.
Live Updates
- 9 Nov 2025 6:39 PM IST
முட்டை விலை உயர்வு
நாமக்கல்லில் முட்டை விலை 5 காசுகள் உயர்ந்துள்ளது. நாமக்கல்லில் முட்டை கொள்முதல் விலை ரூ.5.70 ஆகவும் சென்னையில் ரூ.6.30 ஆகவும் நிர்ணயம் செய்யப்பட்டுள்ளது.
- 9 Nov 2025 6:38 PM IST
தங்கம் அணிய தடை.. மீறினால் அபராதம்
உத்தரகாண்ட் மாநிலம் ஜவுன்சார்–பவர் பகுதியில் உள்ள மக்கள், தங்கம் அணிய தடை விதிக்கப்பட்டுள்ளது. தங்கம் விலை அதிகரித்து வருவதால் திருமண நிகழ்வுகளில் பெண்கள் மாங்கல்யம், மூக்குத்தி, காதணி ஆகிய ஆபரணங்களை மட்டும் அணிய அனுமதி அளிக்கப்பட்டுள்ளது. விதியை மீறினால் ரூ.50,000 அபராதம் என கிராம பஞ்சாயத்தில் அறிவிக்கப்பட்டுள்ளது.
- 9 Nov 2025 6:34 PM IST
நிச்சயம் ஒருநாள் கங்குலி ஐசிசி தலைவராவார் -மம்தா பானர்ஜி உறுதி
ஐசிசி தலைவர் பதவியில் கங்குலிதான் இப்போது இருந்திருக்க வேண்டும். தற்போது இல்லாவிட்டாலும், என்றாவது ஒருநாள் அவர் நிச்சயம் அந்த பொறுப்பை அடைவார். இதில் எனக்கு உறுதியான நம்பிக்கை உள்ளது. அவரை யாராலும் தடுத்து நிறுத்த முடியாது என மேற்கு வங்க மாநில முதல்-மந்திரி மம்தா பானர்ஜி கூறியுள்ளார்.
- 9 Nov 2025 6:24 PM IST
குழந்தைக்கு நீச்சல் கற்றுத்தந்தபோது தந்தை உயிரிழப்பு
ராணிப்பேட்டை மாவட்டம் அரக்கோணம் அருகே மகன்களுக்கு நீச்சல் கற்றுக்கொடுத்துகொண்டிருந்த தந்தை ஆற்றில் அடித்து செல்லப்பட்டு உயிரிழந்தார். மவுலி, பிரதீப் ஆகியோருக்கு நீச்சல் கற்றுக் கொடுத்து கொண்டிருந்தார் தந்தை ரமேஷ் (30) மவுலியை கட்டியிருந்த கயிறு ஆற்றில் அடித்துச்செல்லப்பட்ட நிலையில் சிறுவனைக் காப்பாற்ற ரமேஷம் தண்ணீரில் குதித்துள்ளார். அங்கே மீன் பிடித்தவர்கள் சிறுவனை காப்பாற்றிய நிலையில் ரமேஷ் பரிதாபமாக உயிரிழந்தார்.
- 9 Nov 2025 5:57 PM IST
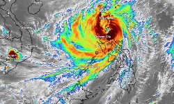
புயல் எச்சரிக்கை: மக்கள் அச்சம்
பிலிப்பைன்ஸ் நாட்டில் பங் வாங் என்ற அதிபயங்கர புயல் தாக்கும் என்ற எச்சரிக்கையால் அங்குள்ள மக்கள் அச்சம் அடைந்துள்ளனர். இப்புயல் மணிக்கு 230 கிலோ வேகத்தில் தாக்கும் என வானிலை மையம் எச்சரிக்கை விடுத்துள்ளது. புயல் நகர்ந்து வரும் பாதையின் செயற்கைக்கோள் படமே அச்சுறுத்தும் வகையில் உள்ளதாக தகவல்கள் தெரிவிக்கின்றன.
- 9 Nov 2025 5:22 PM IST
முகேஷ் அம்பானி ரூ.15 கோடி நன்கொடை
ரிலையன்ஸ் இண்டஸ்ட்ரீஸ் தலைவர் முகேஷ் அம்பானி குருவாயூர் கிருஷ்ணன் கோவிலில் வழிபாடு செய்தார். கோவில் நிர்வாகம் சார்பில் அமைக்கப்பட உள்ள மருத்துவமனைக்காக 15 கோடி ரூபாய்க்கான காசோலையை நன்கொடையாக வழங்கினார் முகேஷ் அம்பானி.
- 9 Nov 2025 5:19 PM IST
உடல் உறுப்புகள் தானம்; தமிழ்நாடு அரசு சார்பில் மரியாதை
திருவாரூர்: சாலை விபத்தில் மூளைச்சாவு அடைந்த ஜெகதீஷ் பாபு (36) என்பவரின் உடல் உறுப்புகள் தானம் செய்யப்பட்டது. திருவாரூர் அரசு மருத்துவக் கல்லூரி மருத்துவமனையில் உள்ள அவரது உடலுக்கு நாகை நாடாளுமன்ற உறுப்பினர் செல்வராஜ் தலைமையில் மாலை அணிவிக்கப்பட்டு, தமிழ்நாடு அரசு சார்பில் மரியாதை செலுத்தப்பட்டது.
- 9 Nov 2025 5:17 PM IST
டெல்லியில் காற்றின் தரக் குறியீடு 400-ஆக பதிவு
டெல்லியில் காற்றின் தரக் குறியீடு 400க்கு மேல் பதிவாகி, மிகவும் மோசமான நிலையில் உள்ளது. எய்ம்ஸ் மருத்துவமனையை சுற்றியுள்ள பகுதிகள் புகை மூட்டம் சூழ்ந்து காட்சியளித்தது.
- 9 Nov 2025 5:16 PM IST
பிக்பாஸ்-க்கு எதிர்ப்பு - தவாக ஆர்ப்பாட்டம்
பிக்பாஸ்க்கு எதிர்ப்பு தெரிவித்து தமிழக வாழ்வுரிமை கட்சி சார்பில் போராட்டம் துவங்கியது. பிக்பாஸ் நிகழ்ச்சி நடைபெறும் தனியார் பிலிம் சிட்டி நுழைவு வாயிலில் தடுப்புகள் அமைத்து போலீசார் பலத்த பாதுகாப்பில் ஈடுபட்டுள்ளனர்.
- 9 Nov 2025 5:16 PM IST
பிலிப்பைன்ஸை நெருங்கும் பங்-வோங் சூறாவளி
பிலிப்பைன்ஸின் கிழக்கு மாகாணங்களில் 230 கிலோமீட்டர் வேகத்தில் பங்-வோங் சூறாவளி சுழன்று அடித்து வருகிறது. 1 லட்சத்திற்கும் அதிகமான மக்கள் பாதுகாப்பான இடங்களில் தங்கவைக்கப்பட்டுள்ளனர்.
















